|
 |
Spatial Analysis of T-cell Subsets in Lungs of COVID-19 Patients
Kaneko et al. published a study in the Clinical Immunology journal focusing on the quantitative analysis of T-cell subset alterations in thoracic lymph nodes and lung samples of COVID-19 patients. With the help of TissueFAXS and StrataQuest, the authors were first to show the expansion of cytotoxic CD4+ T cells in the lungs of patients with severe COVID-19.
|
 |
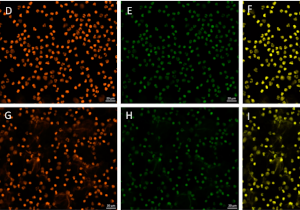
The Effect of Neutrophil Extracellular Traps (NETs) on Fertility
Zambrano et al. (Universidad de La Frontera, Temuco, Chile) used TissueFAXS i PLUS in order to visualize Neutrophil extracellular traps (NETs) in co-cultured bull sperms and neutrophils. The authors were investigating potential cytotoxic effects of NET-derived proteins/enzymes on bull sperms. The research was published in MDPI animals.
|
 |
Find your Scientific Tissue Cytometry Reference
Explore the online database of more than 2000 reference publications in almost 800 peer-reviewed journals from research groups in more than 60 countries on all continents to find out how tissue cytometry can elevate your research. TissueGnostics‘ tissue cytometry solutions are being used for high-impact research in various application fields.
|
 |
Potential Novel Treatment Strategy for Neuroblastoma
This recently published study was conducted within the CaSR Biomedicine Training network. Gonçalves-Alves et al. were able to demonstrate the inhibitory effect of the drug AC-265347 on neuroblastoma tumor growth. Expression of various markers (Ki67, CaSR, CD44, TrkA, NF68) was assessed by using TissueFAXS PLUS and StrataQuest.
|
 |
Call for Papers – MDPI diagnostics
Prof. Dr. Isabella Ellinger and Dr. Amirreza Mahbod (Medical University of Vienna), both close collaborators of TissueGnostics, are privileged to edit a Special Issue of the journal MDPI diagnostics ‘Advances in Computer-Aided Segmentation, Detection, and Classification of Nuclei in Histological Images’.
Submissions are open until 30.09.2022
|
|
|